Graven

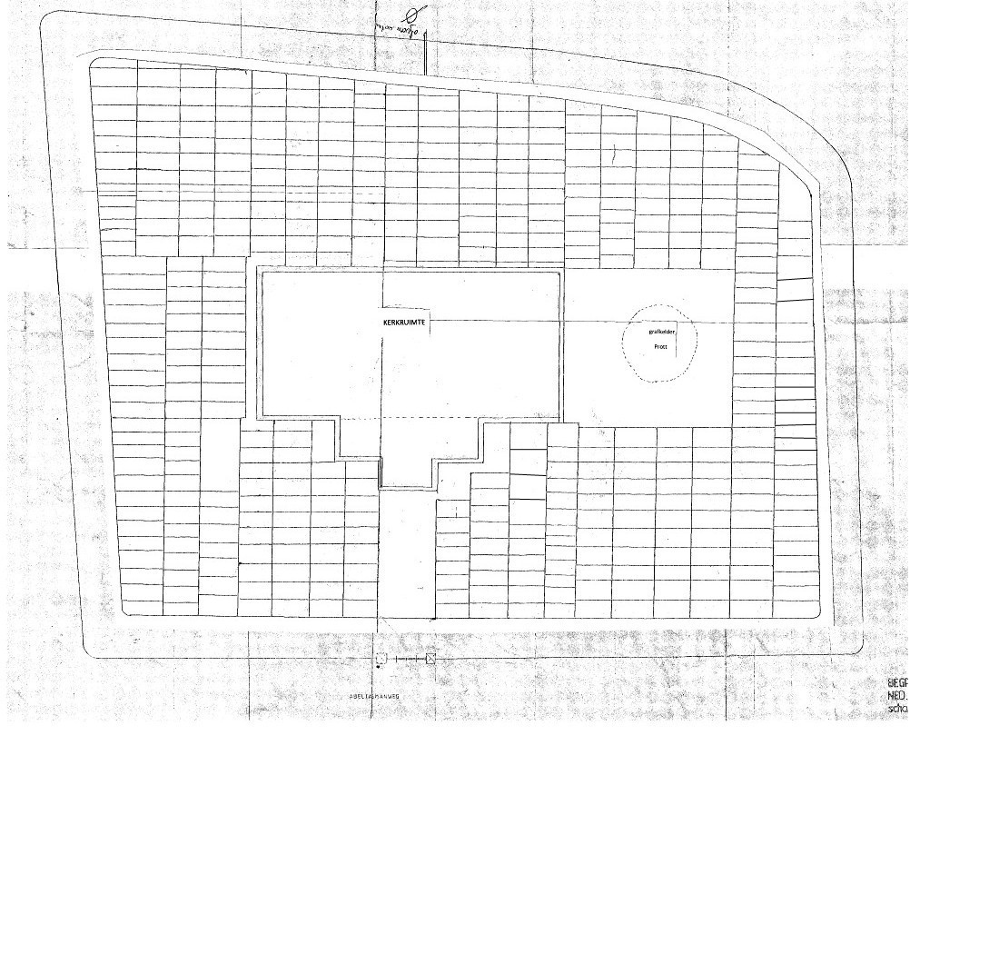
Op deze pagina kunt u een van de plattegronden uit het menu links kiezen van de verschillende onderdelen van de begraafplaatsen. Ook kunt u via de menukeuze Zoek Graf op verschillende manieren zoeken.

Door met de muis over de vakken op de plattegrond te bewegen wordt het grafmonument zichtbaar evenals de namen van de overledenen.

Nadat u uw keuze heeft gemaakt, verschijnt de kaart onder de foto.